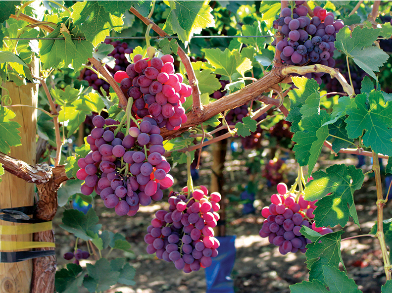
Investigadores de Argentina desarrollan 9 variedades de uva de mesa sin semilla
Luego de 15 años de investigaciones, el Instituto Nacional de Tecnología Agropecuaria (INTA) de Argentina anunció el desarrollo de 9 variedades de uva de mesa sin semilla, luego de numerosos entrecruzamientos y ensayos en laboratorios y en campo.
Investigadores de Argentina desarrollan 9 variedades de uva de mesa sin semilla Leer más »








